Hutan produksi adalah salah satu aset penting bagi keseimbangan lingkungan dan keberlanjutan ekonomi suatu negara. Namun, pengelolaan hutan produksi sering kali menimbulkan tantangan kompleks terutama dalam menjaga keseimbangan antara pemanfaatan sumber daya alam dan pelestarian lingkungan.
Salah satu pendekatan yang diterapkan untuk memperkuat keberlanjutan pengelolaan hutan adalah melalui metode Reduced Impact Logging-Carbon (RIL-C), yang menekankan pada pemotongan pohon yang selektif dengan meminimalkan dampak lingkungan serta pengurangan emisi karbon dari penebangan.
PT Wana Bakti Persada Utama (WBPU) menggunakan dua teknologi terkini dalam upaya mengoptimalkan penerapan RIL-C dikawasan konsesi hutan produksi milik perusahaan. Kedua teknologi tersebut adalah Light Detection and Ranging (LIDAR) dan Logfisher.
Teknologi LiDAR

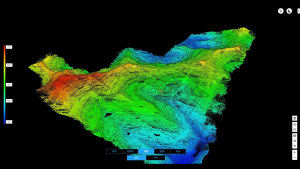
Pada tanggal 29 Maret 2024, PT WBPU bersama dengan DJI (salah satu perusahaan pengembang pesawat nirawak/drone) melakukan pelatihan penggunaan drone LIDAR di area konsesi hutan produksi milik PT WBPU di kawasan Hulu Kelay, Berau, Kalimantan Timur. Dalam pelatihan ini staff pemetaan wilayah tebangan PT WBPU dilatih untuk bisa mengoperasikan drone yang sudah dilengkapi oleh teknologi LiDAR.

LiDAR sendiri merupakan teknologi pemetaan jarak jauh yang menggunakan laser pulse (yang menggunakan sinar laser yang dipancarkan ke objek untuk menghasilkan data elevasi) untuk mengukur jarak ke permukaan bumi. Dalam konteks hutan produksi, LIDAR digunakan untuk melakukan pemetaan dan pemantauan kondisi hutan secara akurat dan efisien. PT WBPU mencatat beberapa manfaat utama penggunaan LIDAR dalam penerapan RIL-C di kawasan hutan produksi meliputi:
Pemetaan Struktur Hutan: LiDAR dapat memberikan pemahaman yang mendalam tentang struktur hutan, termasuk tinggi pohon, tutupan kanopi, dan distribusi vegetasi. Informasi ini memungkinkan operator untuk membuat keputusan yang lebih baik dalam pemilihan pohon yang akan dipotong, meminimalkan kerusakan lingkungan.
Identifikasi Area Sensitif: Dengan bantuan LiDAR, area-area sensitif seperti sungai, rawa, dan habitat satwa liar dapat diidentifikasi dengan akurasi tinggi. Hal ini memungkinkan operator untuk menghindari area-area ini selama proses pemotongan, menjaga integritas ekosistem hutan.
Pemantauan Perubahan: LiDAR juga memungkinkan pemantauan perubahan dalam struktur hutan dari waktu ke waktu. Ini membantu dalam evaluasi efektivitas praktik pengelolaan hutan dan memberikan wawasan penting untuk perencanaan jangka panjang.
Teknologi Logfisher
Teknologi alat berat Logfisher memainkan peran penting dalam penerapan metode Reduced Impact Logging-Carbon (RIL-C) untuk perusahaan hutan produksi. Logfisher adalah alat berat yang dirancang khusus untuk operasi penebangan dan pemindahan kayu di hutan. Alat ini biasanya terdiri dari derek dengan lengan panjang yang mampu mengangkat dan memindahkan batang pohon yang telah ditebang tanpa merusak vegetasi di sekitarnya.

Penggunaan Logfisher dalam metode RIL-C di area konsesi milik PT WBPU diharapkan dapat memberikan beberapa manfaat penting, antara lain:
Mengurangi Kerusakan Tanah dan Vegetasi: Logfisher mampu mengangkat batang pohon dari tanah tanpa harus menyeretnya. Ini mengurangi kerusakan pada tanah dan vegetasi yang terjadi selama proses penebangan.
Mengurangi Jalur Penebangan: Alat ini memungkinkan pemindahan kayu melalui jalur yang lebih sedikit dan lebih sempit, mengurangi pembukaan lahan yang diperlukan untuk membuat jalur penebangan.
Peningkatan Efisiensi: Logfisher meningkatkan efisiensi proses penebangan karena dapat mengangkat dan memindahkan pohon dengan cepat dan tepat. Hal ini mengurangi waktu operasional dan mengurangi emisi karbon dari mesin-mesin berat yang beroperasi lebih lama.
Minimisasi Emisi Karbon: Dengan mengurangi kerusakan tanah dan vegetasi serta meningkatkan efisiensi operasional, Logfisher membantu meminimalkan emisi karbon yang terkait dengan penebangan. Ini sejalan dengan tujuan RIL-C untuk mengurangi dampak karbon dari aktivitas penebangan.
Proses implementasi Logfisher dalam metode RIL-C melibatkan beberapa langkah kunci, antara lain yaitu, perencanaan dan Persiapan, penentuan jalur penebangan dan lokasi pohon yang akan ditebang dilakukan dengan hati-hati untuk meminimalkan dampak lingkungan. Teknologi GPS dan pemetaan digunakan untuk merencanakan rute optimal bagi Logfisher.
Pelatihan Operator, operator Logfisher dilatih secara khusus untuk mengoperasikan alat berat ini dengan cara yang ramah lingkungan dan efisien. Mereka juga dilatih untuk merespons kondisi lapangan yang berubah-ubah.
Pemantauan dan Evaluasi, setelah implementasi, proses penebangan dan pemindahan kayu dipantau secara terus-menerus untuk memastikan bahwa dampak lingkungan diminimalkan. Evaluasi berkala dilakukan untuk mengidentifikasi area perbaikan dan memastikan kepatuhan terhadap standar RIL-C.

Penerapan teknologi LIDAR dan Logfisher telah membawa perubahan yang signifikan dalam cara PT WBPU memahami dan mengelola hutan produksi. Dengan memanfaatkan kedua teknologi ini secara optimal, PT WBPU dapat memperkuat implementasi prinsip RIL-C, menjaga keseimbangan antara pemanfaatan sumber daya hutan dan pelestarian lingkungan untuk generasi mendatang. B
